Florida llama a evacuar ante la llegada del huracán Milton: "Cuestión de vida o muerte"
Las autoridades de Florida multiplicaron este martes los llamados de evacuación ante la próxima llegada del huracán Milton y podría ser "la peor tormenta" en golpear la península en un siglo, advirtió el presidente Joe Biden.
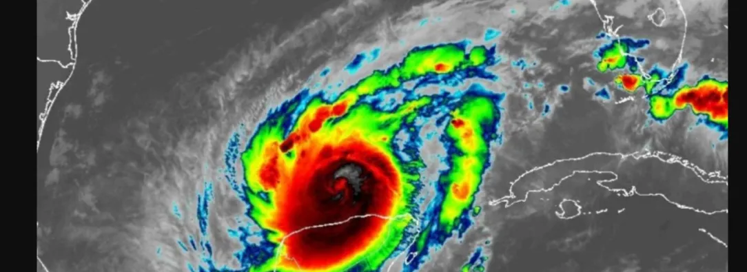
Milton recuperó fuerza el martes y se convirtió en un ciclón de categoría 5 con vientos máximos sostenidos de 270 kilómetros por hora mientras avanza hacia el estado de Florida, según el centro de huracanes de Estados Unidos (NHC).
"Es probable que haya fluctuaciones en la intensidad mientras Milton se desplaza por el este del Golfo de México, pero se prevé que sea un importante y peligroso huracán cuando llegue a la costa centro-oeste de Florida el miércoles por la noche", informó la agencia.
Lee además: Huracán Milton: se advierte sobre su conexión con el cambio climático.
Ya afectada por el destructivo paso de Helene hace diez días, que dejó más de 234 muertos, "toda la península de Florida está bajo algún tipo de alerta o advertencia", afirmó el martes el gobernador Ron DeSantis.
Biden dijo que Milton podría ser "la peor tormenta en Florida en un siglo" y llamó a los estadounidenses en zonas de riesgo a "evacuar ahora, ahora, ahora".
Lee también: Huracán Milton alcanzó categoría 5 y amenaza a México y La Florida.
Las aerolíneas habilitaron vuelos adicionales partiendo desde Tampa, Orlando, Fort Myers y Sarasota, para aliviar el congestionamiento en las carreteras.
Milton puede ser "la peor" tormenta en azotar el área de Tampa en más de 100 años, según el NHC.
El experto en huracanes Michael Lowry advirtió que en la zona de Tampa, de unos tres millones de habitantes, la marejada ciclónica de Milton "podría duplicar los niveles" registrados hace dos semanas por Helene, que provocó grandes inundaciones.
Te puede interesar: Secretario de la ONU advierte a Israel sobre la propuesta de expulsar a la UNRWA de Gaza.
“Si se quedan, morirán": Jane Castor, alcaldesa de Tampa
"Helene fue un llamado de atención. Esto es literalmente catastrófico", dijo el lunes a CNN Jane Castor, alcaldesa de la ciudad de Tampa. "Puedo decir esto sin que sea exagerado: si eligen quedarse en una de las zonas de evacuación, morirán".
Se están distribuyendo generadores, alimentos, agua y lonas por toda Florida y muchos habitantes están protegiendo sus hogares o tienen planeado irse.
Milton pasó cerca de la península de Yucatán en México la noche del lunes, provocando intensas lluvias, fuertes vientos y oleaje, pero sin que se reportaran daños mayores.
Puedes leer: Un año del genocidio en Gaza: una tragedia humanitaria sin precedentes.
La vicepresidenta y candidata demócrata a la Casa Blanca, Kamala Harris, pidió a los residentes de Florida que "se tomen en serio" a las autoridades locales.
"Floridanos, ustedes son gente tenaz que ha sufrido mucho, pero esto va a ser diferente", advirtió Harris en la cadena ABC.
En una señal de la gravedad de la situación, Biden suspendió un viaje que tenía previsto a Alemania y Angola esta semana, informó el martes la Casa Blanca.
No te lo pierdas: Con homenajes y actos simbólicos, Israel conmemora 1 año del ataque de Hamas.
En colaboración con AFP
